The annual Edinburgh Ocean Leaders (EOL) field mission is an integral component of the programme. Each year, the EOL team and the current cohort of OLs gather in a carefully selected location, providing a unique opportunity to continue focused work on leadership and career development, to learn about ocean-related challenges and opportunities in a new context, and to build connection and trust across the group. This year, we came together on the beautiful island of Bali in Indonesia. As an archipelago nation made up of over 17,000 islands, Indonesia is truly on the frontline of ocean challenges and changes. Bali in particular provided an interesting setting to explore topics such as community-led conservation, sustainable tourism, climate change impacts and coastal ecosystem restoration, and to see coral reef and mangrove habitats for ourselves. Our time was split between two very different parts of the island: Denpasar City in southeast Bali, and the West Bali National Park, giving us some perspective of both urban settings and more remote rural areas.
As several EOL Fellows live and work across Indonesia, this trip provided an opportunity to gain first-hand insights from colleagues. We were fortunate enough to be hosted by 2024 Fellow Indah Rufiati, who works for Blue Ventures. Indah lives in Bali and is from the neighbouring island of Java.
“It has been a pleasure to welcome the Edinburgh Ocean Leaders cohort 2025 to Bali. I have learned a lot from each of the ocean leaders about how they work to protect oceans that are very important for the communities. It is an honour for me to be able to share Indonesia’s landscape and the works of the government and stakeholders, including NGOs, to solve environmental issues through working collaboratively with frontline communities.” Indah Rufiati, 2024 EOL
EOL Fellows Eva Medianti, Adam Miller and Tasrif Kartawijaya also joined us for part of the trip.
“This exceptional Indonesia-based team ensured we gained insights through the eyes of local stakeholders. The commitment and creativity we found, and the wonderful ocean and forest spaces we visited, provided a perfect and uplifting learning experience.” Sandy Tudhope, EOL Co-Founder & Co-Director
Knowledge Exchange Meetings
A critical element of the annual field mission is meeting with the people who work in ocean and environmental sectors in the places we visit. We do this through meetings with local stakeholders – in this case NGOs and regional government – in which we learn in-context, exchange knowledge and ideas, and in some cases even develop new connections and collaborations. In Bali, we met with the Coral Triangle Center, Blue Ventures, the Provincial Department of Forestry and Environment, and the West Bali National Park authorities. The participating OLs found these meetings inspiring, insightful, and in some cases highly relevant to their own work.
“After reading extensively about Indonesia’s vision for a sustainable ocean economy, I was deeply inspired to see how that vision is being turned into reality across vast stretches of the archipelago, where people, nature, culture, religion, and art are so intricately connected.” Wei Li, 2025 EOL

Meeting with Blue Ventures at their office in Denpasar City, to hear about their model for community-led fisheries management, and to discuss approaches to local environmental stewardship, data ownership and coastal community empowerment.
“As an Indigenous person, I see parallels between Blue Venture’s efforts to remove systemic barriers and our own experiences: limited access to resources, fragmented knowledge systems, and being politically marginalised from decision-making tables. Yet, when communities are trusted, resourced, and connected — when the right relationships are nurtured — transformation becomes possible.” Beth Tupara-Katene, 2025 EOL

A tour of the Coral Triangle Center in Denpasar City, where creative, interactive displays and beautiful artwork has been skillfully combined with detailed information. We had diverse discussions on topics ranging from coral reef restoration effectiveness, to practical approaches to scaling up grass-roots organisations.

Meeting with the West Bali National Park team in the northwest corner of Bali. We heard about forest and coastal habitat conservation, integration of Indigenous knowledge in conservation, and about the dramatic recovery of the Bali starling, which we were then lucky enough to see for ourselves!
What we observed across all of these meetings was an inspiring level of dedication and passion in the people we met with; a reminder that behind successes in ocean conservation and environmental protection are exceptional individuals and teams of people working for a common cause.
“This trip taught me the real power of teamwork and gave me insights into how organisations are creating innovative, climate-resilient projects that bring hope to communities on the frontlines of change.” Mustapha Manneh, 2025 EOL
Leadership Training & Reflection Time
Much of the leadership coaching and training throughout the year is carried out online, allowing each individual to continue their usual work alongside EOL participation. As such, this trip provided an important opportunity for more extensive, in person training sessions, both in a group setting and through one-to-one coaching.
“The Bali field mission was an opportunity to further develop and embed the leadership skills of the programme as a cohort, and in a real-world context. As well as individual coaching sessions, we gave a creative space for our cohort both to reflect on the programme so far, and to think on how they will use the skills in future.” Sandra Morson, EOL Leadership Coach
Cruicially, time and space away from busy, often intense day-to-day schedules encouraged creative thinking, introspection and development of ideas. Bali provided a setting which particularly fostered this aspect of the leadership work, in terms of beauty, tranquility and closeness to the ocean.
“We encouraged participants to reflect more deeply on the question of ‘who am I’, identifying the values, behaviours and motives that underpin their sense of self and increase their leadership impact.” Sandra
“The week in Bali was transformative, a rare space to pause, listen, and refine how we lead. Through our coaching sessions I learned the strength of silence, of asking questions that create clarity. Visiting West Bali National Park grounded those lessons in reality, showing how long-term vision and structure can turn good intentions into lasting impact.” Daniel Cáceres Bartra, 2025 EOL
Team Building, Community & Ocean Time
Spending a week together in person allowed our EOLs to get to know one another properly, and helped to build a strong sense of community and trust across the cohort. One of the intentions of each annual fieldtrip is to foster the development of a safe and confidential space for EOLs to share ideas and challenges – both professional and personal – with like-minded individuals.
“Most of all, I left feeling deeply connected to this cohort: a community of leaders who challenge and support each other in equal measure, united by purpose and by the ocean itself.” Daniel
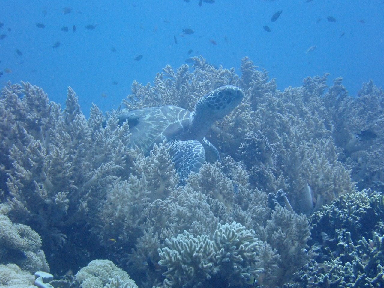
One of the most memorable experiences we had as a group was a morning spent in and on the ocean during our stay in West Bali. Some went Scuba diving, while others snorkelled and visited the beautiful Menjangan Island. We were delighted and heartened to find plenty of marine life, including a variety of healthy corals, reef fish and some very chilled out green turtles!
All of the participants of this year’s trip left Bali feeling inspired, re-connected and ready to continue their work and growth as Edinburgh Ocean Leaders. We are hugely grateful to all of the people and organisations we met across Bali, and to those that made this trip such a success! The final word goes to our wonderful host Indah…
“Being part of this programme is like a gift that keeps giving. I am continually inspired by the amount of support, encouragement and the wealth of experience and knowledge from this talented group of people.” Indah
Browse more photos from the trip in the gallery below!


